BOB

Pet Coletivo da(o) BOB

Faça sua doação

História

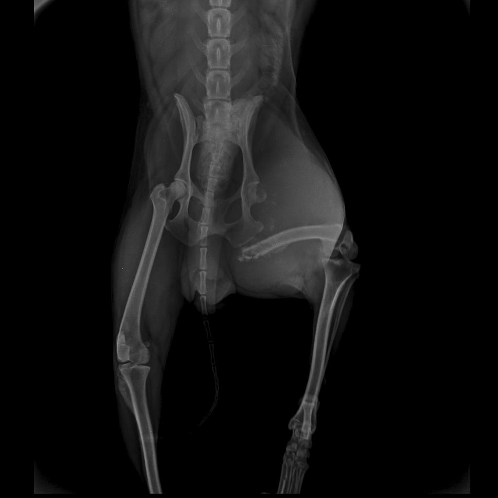
Bob é um cachorro de 9 anos, a uns 6 meses mais ou menos ele apareceu com a perna mancando e quando fez raio-x, o fêmur estava quebrada sem saber o motivo, pois desde pequeno ele nunca ficou em casa de ninguém, sempre fugiu para rua, Bob é muito querido onde mora mais não temos condições de arca com o que o veterinário pediu para cirurgia dele que custa 2,500 reais, qualquer valor será bem vindo.

Meta

R$2.500,00

Valor a confirmar

R$0,00

Valor Arrecadado

R$35,00

Criação da Vaquinha:

Raça

Vira lata

Termina em

Acesso fácil

https://www.petcoletivo.com.br/52703

Responsável

Vaquinha criada por Jéssica Maria Benedito do Carmo

Cidade

SERRINHA

Estado

BAHIA

Utilize esta imagem para acessar o perfil utilizando a câmera de seu celular através de leitores de QR Code.

Nome da Clínica / Ong

Clínica Animal Vet

Endereço

R. José Carneiro da Silva, 19 - Ginásio, Serrinha - BA, 48700-000

Nome veterinário

Unberio Valverde

Telefone

(55) 75915-2352


 

 

 

 

 

 

 

 

20/11/2025 - Daiana Souza pontes